03-6264-1890
受付時間 9:00 - 18:30 定休日 土日祝
受付時間 9:00 - 18:30 定休日 土日祝
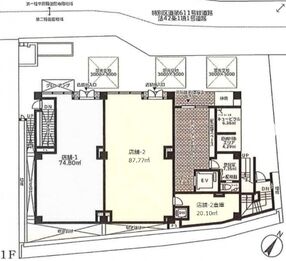
豊匯ビル(旧:(仮称)神宮前5丁目ビル) 1階2(倉庫有)
物件情報
| 所在地 | 東京都渋谷区神宮前5丁目42-14 |
|---|---|
| 最寄駅 |
東京メトロ銀座線 表参道駅 7分 東京メトロ千代田線 明治神宮前<原宿>駅 10分 東急東横線 渋谷駅 10分 JR山手線 原宿駅 14分 |
| 竣工 | 2025年7月 |
| 階数 | 地上5階 / 地下1階 |
| エレベーター | 1基 |
賃貸条件
| 募集区画 | 1階2(倉庫有) |
|---|---|
| 賃料 (共益費) | 1,035,455円(賃料に含む) |
| 敷金 /礼金 | 5ヶ月/1ヶ月 |
|
保証金
/敷引/償却 |
-/-/15% |
| 面積 | 32.63坪 |
| 入居条件 | 即入居 |